摘要:关于玛娃台风的最新动态,目前其具体路径和强度仍在不断监测中。请密切关注气象部门发布的最新预报和警报,以了解玛娃台风的最新动态和可能带来的影响。
背景
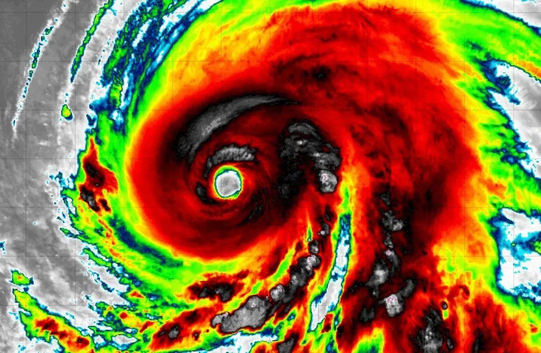
玛娃台风是每年夏季在太平洋西部活跃起来的典型热带气旋,它源于热带海洋的温暖水域,受到地球自转、气流压力等多种因素的影响,逐渐增强成为一个强大的风暴系统,玛娃台风以其强大的风力、暴雨和潮汐影响而闻名,给受影响地区带来严重的自然灾害。
重要事件
最新消息显示,玛娃台风已在太平洋某海域形成,逐渐逼近陆地,气象部门密切监控其发展,并及时发布预警信息,以下是关于玛娃台风的一些重要事件:
1、形成与发展:玛娃台风在太平洋某海域形成,受到强烈的热带海洋能量供应,逐渐增强。
2、路径变化:随着气压系统和气流的变化,玛娃台风的路径出现变化。
3、预警信息发布:气象部门根据最新动态,及时发布预警信息,提醒相关地区做好防范准备。
4、登陆与影响:玛娃台风登陆后,给受影响地区带来强风、暴雨和潮汐影响,造成严重的自然灾害。
影响
玛娃台风的影响主要体现在以下几个方面:
1、人员安全:强风和暴雨可能导致人员伤亡,特别是在低洼地区和山区。
2、财产损失:房屋、道路、桥梁等基础设施可能遭受破坏,造成经济损失。
3、农业生产:农作物受灾,农业产量受影响。
4、交通运输:强风和降水可能导致交通中断。
5、电力系统:台风可能导致电力设施受损。
地位
在特定的领域或时代中,玛娃台风具有以下地位:
1、自然灾害研究的典型案例:为自然灾害研究提供了宝贵的实际案例。
2、应急管理体系的检验:对应急管理体系提出了更高的要求。
3、社会关注的热点:玛娃台风的动态和发展受到广泛关注,成为公众关注的焦点话题。
4、气候变化的体现:全球气候变化对台风的影响日益显著,玛娃台风的强度和路径变化可能是这一影响的体现。
玛娃台风作为一个强大的热带气旋,给受影响地区带来严重的自然灾害,本文详细回顾了玛娃台风的背景、重要事件、影响及其地位,旨在提高公众对台风的防范意识,减少灾害损失,我们也应该认识到,在全球气候变化的大背景下,台风的影响可能会更加复杂和不可预测,需要我们加强研究和防范,目前,我们持续关注玛娃台风的最新动态,并及时向公众发布相关信息,希望相关部门和公众能够做好防范准备,共同应对挑战。



还没有评论,来说两句吧...